Wieviel Kohlenstoff kann der polare Meeresboden aufnehmen?
Durch den Verlust des Meereises ändert sich die Farbe der polaren Meere von Weiss in Richtung blau. Soweit ist dies bekannt. Doch in den flachen Bereichen der küstennahen Gebiete kommt neuerdings auch grün noch dazu. Denn durch die längeren eisfreien Perioden entsteht grösseres Algenwachstum. Diese Algen dienen wiederum als Nahrung für bodenlebende Meeresbewohner, die den Kohlenstoff bei sich einbauen und so als Lagerstätte dienen.

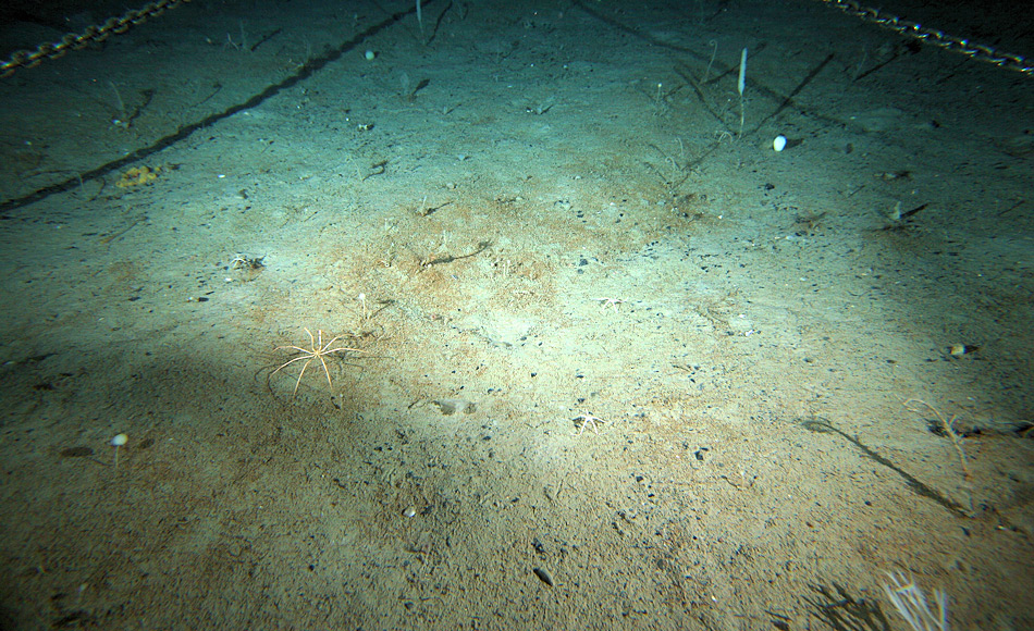
Eine neue Studie durch die British Antarctic Survey unter der Leitung von Dr. David Barnes, erforscht die Frage, wie der Benthos von polaren Meeren, d.h. die Bodenbewohner, auf Veränderungen an der Oberfläche reagieren. Das Verständnis dieser Ökosysteme ist sehr wichtig, da viele der Organismen Kohlenstoff für den Schalenaufbau benötigen und ihn so nach ihrem Tod auf dem Meeresboden deponieren und somit aus dem globalen Kohlenstoffkreislauf für Jahrtausende entziehen. Das bedeutet, dass das wachsende Benthos auch eine wichtige Rolle beim Ausgleich der CO2-Emissionen in die Atmosphäre spielen sollte. Denn die Ozeane nehmen einen signifikanten Teil des CO2 aus der Luft auf. Doch diese Speicherfähigkeit ist begrenzt und die Rolle in Sachen Speicherung von CO2 der Lebensgemeinschaften auf dem polaren Meeresboden ist bisher nur sehr unbedeutend untersucht worden. Doch es könnte durchaus sein, dass diese Rolle in der Abschwächung des Klimawandels durch eine negative Rückkoppelung äusserst wichtig sein könnte: durch längere eisfreie Perioden können Algen länger wachsen und so für mehr Nahrung der Bodenbewohner sorgen, die dann dadurch mehr Kohlenstoff speichern und eine Rückkehr in die Atmosphäre verhindern würden. Dr. Barnes meint dazu: „Versteckt in hunderten von Metern Tiefe vollbringen Organismen auf dem polaren Meeresboden einen unglaublich wertvollen Dienst für die Ökosysteme. Wir fangen erst an ihren Einfluss zu messen und zu verstehen. Anders gesagt: Wir haben bisher nur etwa 100 Teile von einem 10‘000-Teile-Puzzle.“

Der Zeitpunkt und der Eisverlust spielen auch eine Rolle: der grösste Verlust in der Arktis und in der Westantarktis spielte sich in den flachen, ökologisch wichtigen Meeresgebieten ab. Als Resultat daraus können diese Bereiche von kohlenstoff-speichernden Organismen besiedelt werden. Doch es gibt auch einen Haken an der Sache: grosse Eisberge, die von den Gletschern abgebrochen sind, sind jetzt weniger lang an einem Ort festgefroren und bewegen sich über den Boden. Dadurch pflügen diese eisigen Giganten die Böden um und zerstören auf ihrem Weg, angetrieben durch Wind, Wellen und Strömungen, ganze Ökosysteme, auch wenn diese einige hundert Meter tief liegen. Dr. Barnes untersuchte den Einfluss von pflügenden Eisbergen und die längeren Wachstumsperioden von Algen in den Flachwassergebieten der westlichen antarktischen Halbinsel. Dabei nutzte er die von der Station Rothera und vom Eisbrecher RSS James Clark Ross im Zeitraum von 20 Jahren gesammelten Daten. Seine Resultate zeigen, dass Eisberge vor allem in sehr flachen Gewässern, die nur ein paar Meter tief sind, häufiger treiben und die dortigen Systeme sehr stark geschädigt werden. Im Gegensatz dazu können in tieferen Gebieten nur wenige Eisberge Schaden anrichten, da die meisten eher zu wenig tief reichen. In solchen Regionen ist die eisfreie Zeit die wichtigste Kontrolle für die Kohlenstoffspeicherung durch Bodenbewohner. Doch die Untersuchung von Ökosystemen an den Meeresböden ist schwierig, da Satelliten das Wasser nicht tief genug durchdringen können, um grosse Areale abdecken zu können. Daher bleibt nur Tauchen als wichtigste Möglichkeit zur Datensammlung. Doch dies führt zu einem kleineren Untersuchungsgebiet, was wiederum zu mehr Einsätzen führt. Die Daten aus der Antarktis und der Arktis, die noch schlechter untersucht ist, können dabei helfen, wieviel Kohlenstoff durch Meeresorganismen auf den Meeresböden weltweit gespeichert wird, eine wichtige Information zum Verständnis des Klimawandels.

Quelle: British Antarctic Survey